_Juhel_MRAC_Kanzenze_Katanga_RD_Congo.jpg)
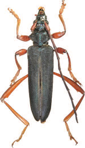
Specimen Type: holotype Sex: m Institution: MRAC Musée Royal de l'Afrique Centrale de Tervuren, Belgium Photographer: Pierre Juhel Collection Location: Kanzenze, Katanga, RD Congo 74046
|
_MRAC_Kanzenze_Katanga_RD_Congo.jpg)
Specimen Type: holotype Sex: m Institution: MRAC Musée Royal de l'Afrique Centrale de Tervuren, Belgium Photographer: Pierre Juhel Collection Location: Kanzenze, Katanga, RD Congo 74150
|