_Bates_BMNH_Acapulco_Guerrero_Mex_LGB.jpg)
Specimen Type: holotype Sex: f Institution: BMNH British Museum Natural History, London, UK Photographer: Larry G. Bezark Collection Location: Acapulco, Guerrero, Mexico 46410
|
_Bates_BMNH_Acapulco_Guerrero_Mex_LGB.jpg)
Specimen Type: holotype Sex: f Institution: BMNH British Museum Natural History, London, UK Photographer: Larry G. Bezark Collection Location: Acapulco, Guerrero, Mexico 46411
|
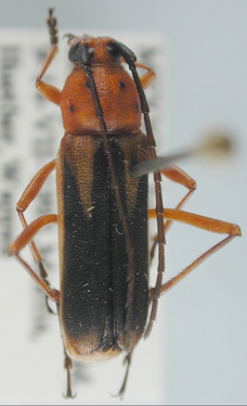
_(f)_Bates_BMNH_JAC.jpg)
Specimen Type: holotype Sex: f Institution: BMNH British Museum Natural History, London, UK Photographer: John Chemsak Collection Location: Acapulco, Guerrero, Mexico 15359
|

Photographer: Larry G. Bezark Collection Location: Chamela, Mexico 432
|
_Det_Cope_Jalisco_Mexico_LGB.jpg)
Photographer: Larry G. Bezark Collection Location: Jalisco, Mexico 4896
|

Institution: FTH Frank T. Hovore collection (now at California Academy of Sciences) Photographer: Larry G. Bezark 4899
|
|