_Bates_MNHN_Sao_Paulo_de_Olivenca_AM_Bras_JT.jpg)
Specimen Type: holotype Sex: f Institution: MNHN Museum of Natural History Paris, France Photographer: Julien Touroult Collection Location: São Paulo de Olivença, Amazonas, Brazil 36654
|
_Bates_MNHN_Sao_Paulo_de_Olivenca_AM_Bras_JT.jpg)
Specimen Type: holotype Sex: f Institution: MNHN Museum of Natural History Paris, France Photographer: Julien Touroult Collection Location: São Paulo de Olivença, Amazonas, Brazil 36655
|
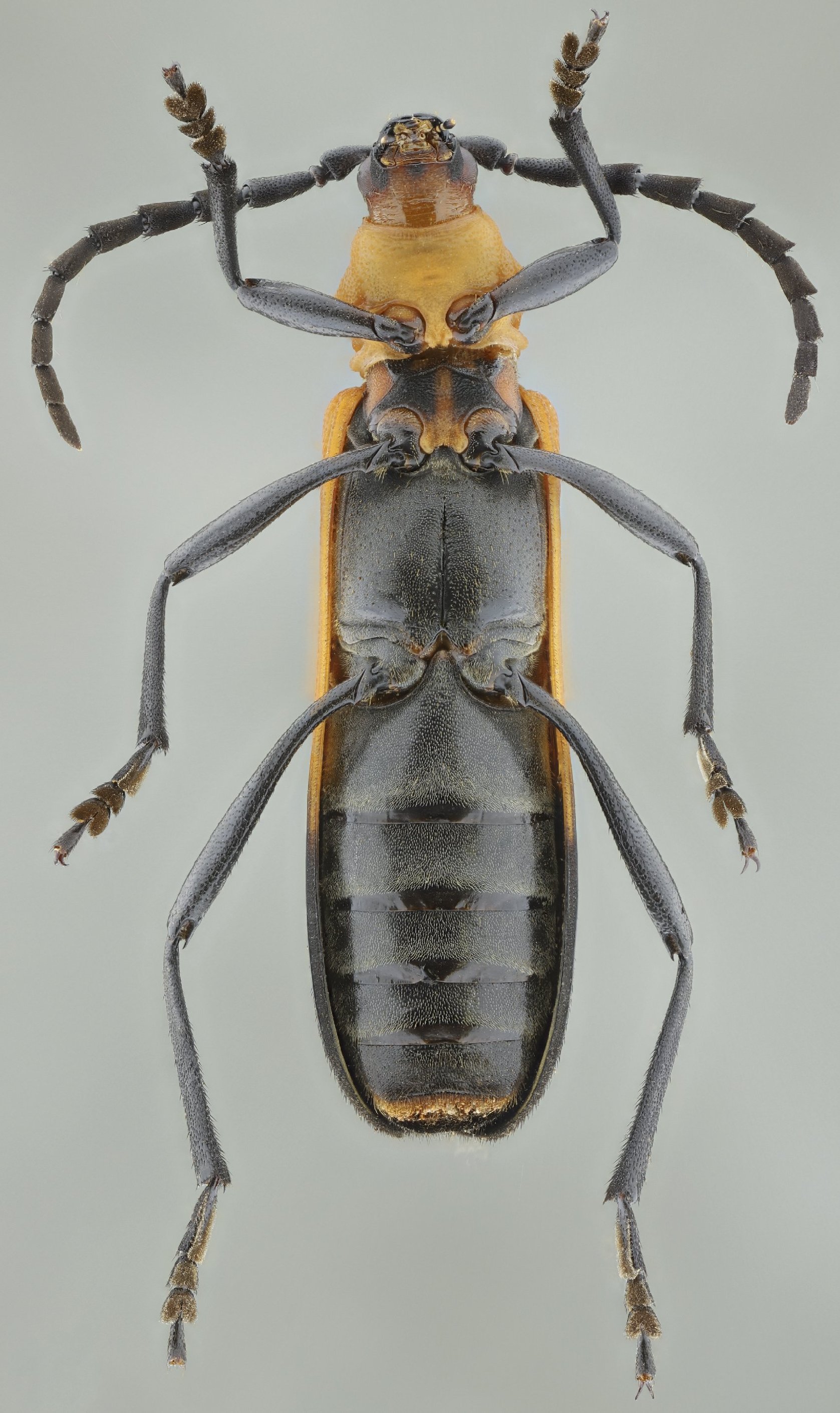
 Bates MZSP Peru SS.jpg)
Sex: f Institution: MZSP Museu de Zoologia da Universidade de São Paulo, Brazil Photographer: Antonio Santos-Silva Collection Location: Peru 98756
|
 Bates MZSP Peru SS.jpg)
Sex: f Institution: MZSP Museu de Zoologia da Universidade de São Paulo, Brazil Photographer: Antonio Santos-Silva Collection Location: Peru 98757
|
 Bates MZSP Peru SS.jpg)
Sex: f Institution: MZSP Museu de Zoologia da Universidade de São Paulo, Brazil Photographer: Antonio Santos-Silva Collection Location: Peru 98758
|
|