_Zajciw_MNRJ_SWL_=_Athetesis.jpg)
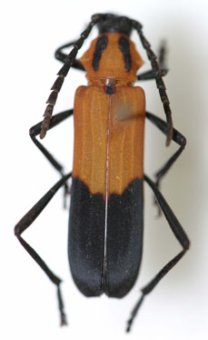
Eriphus angulicollis Zajciw Specimen Type: holotype Sex: f Institution: MNRJ Museu Nacional Universidade do Rio Janeiro, Brazil Photographer: Steve Lingafelter Collection Location: Obidos, Para, Brazil 7411
|
_Zajciw_MNRJ_SWL_=_Athetesis.jpg)
Eriphus angulicollis Zajciw Specimen Type: holotype Sex: f Institution: MNRJ Museu Nacional Universidade do Rio Janeiro, Brazil Photographer: Steve Lingafelter Collection Location: Obidos, Para, Brazil 7412
|