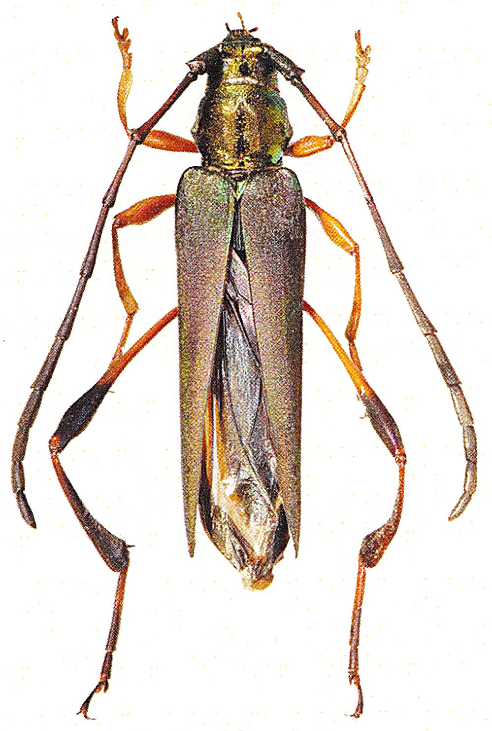
_Juhel_Bentanachs_IRSNB_Mbala_Zambia.jpg)
Specimen Type: holotype Sex: m Institution: IRSNB Royal Belgian Institute of Natural Sciences, Brussels, Belgium Photographer: Joan Bentanachs Collection Location: Mbala, Zambia 73667
|
_Juhel_Bentanachs_IRSNB_Mbala_Zambia.jpg)
Specimen Type: paratype Sex: f Institution: IRSNB Royal Belgian Institute of Natural Sciences, Brussels, Belgium Photographer: Joan Bentanachs Collection Location: Mbala, Zambia 73668
|