 Heller SNSD Kpalime, Togo Olaf Jaeger pic.jpg)
Specimen Type: holotype Sex: m Institution: SNSD Senckenberg Naturhistorische Sammlungen Dresden, Germany Photographer: Olaf Jager Collection Location: Kpalime, Togo 78924
|

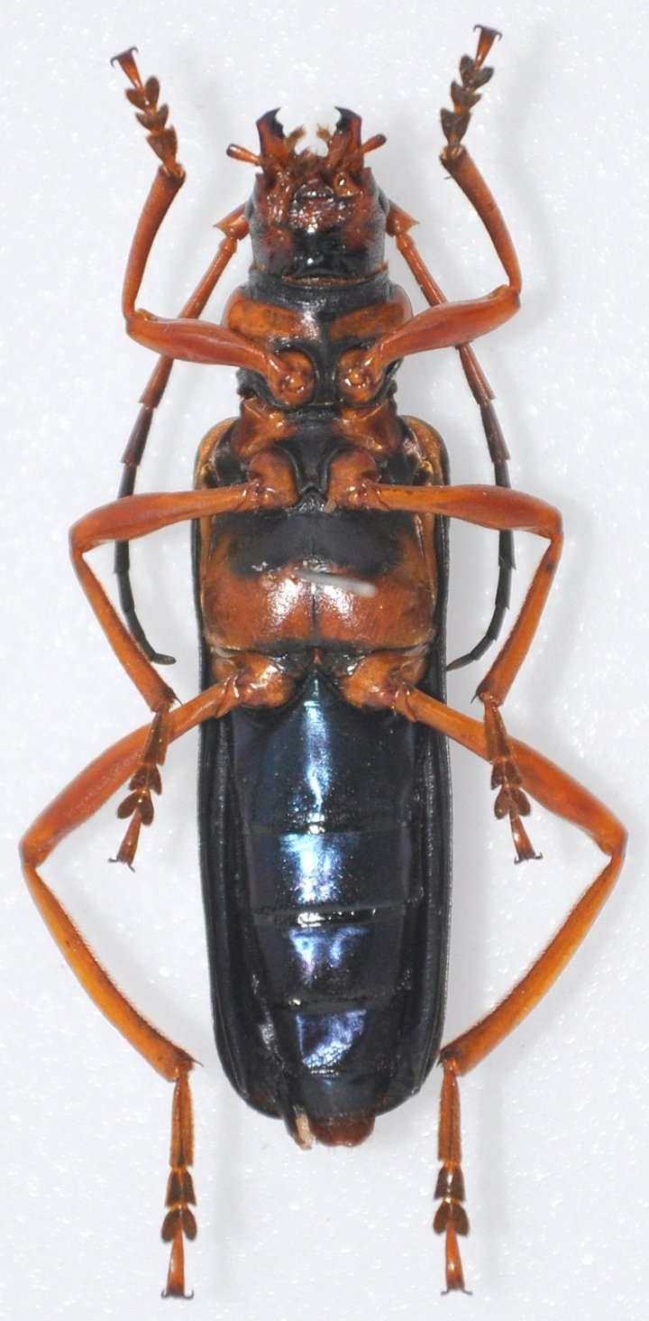
Sex: f Photographer: Pierre Haller, Cerambycoidea Forum Determiner: Gerard Chemin, Cerambycoidea Forum Collection Location: Badou, Togo 65861
|
_Badou_Togo_PH_det_GC.jpg)
Sex: f Photographer: Pierre Haller, Cerambycoidea Forum Determiner: Gerard Chemin, Cerambycoidea Forum Collection Location: Badou, Togo 65862
|
|