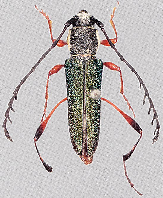
_Schmidt_ZMHB_Karo_Lola-Sarigo_S_Somalia_Adlbauer.jpg)
Specimen Type: syntype Sex: m Institution: ZMHB Museum für Naturkunde der Humboldt-Universität, Berlin, Germany Photographer: Karl Adlbauer Collection Location: Karo, Lola-Sarigo, S Somalia 72242
|
_Schmidt_ZMHB_Djido-Dameso_S_Somalia_Adlbauer.jpg)
Specimen Type: syntype Sex: f Institution: ZMHB Museum für Naturkunde der Humboldt-Universität, Berlin, Germany Photographer: Karl Adlbauer Collection Location: Karo, Lola-Sarigo, S Somalia 72243
|