_Viktora_Coll_84kmE_Gerik_Belum_Forest_Perak_Malaysia_Vikt.jpg)
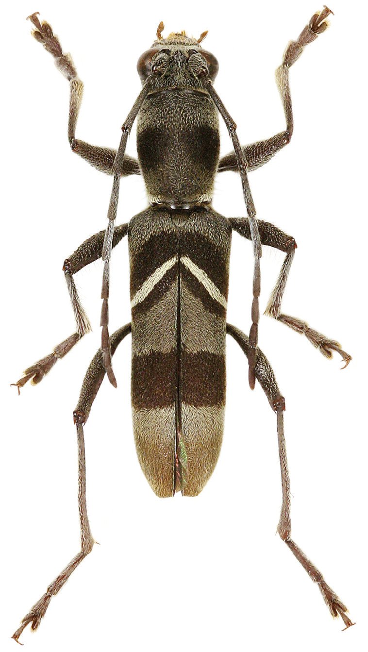
Specimen Type: holotype Sex: m Institution: Viktora Collection Photographer: Petr Viktora Collection Location: 84 km E Gerik, Belum Forest, Perak, Malaysia 71401
|
_Viktora_Coll_84kmE_Gerik_Belum_Forest_Perak_Malaysia_Vikt.jpg)
Specimen Type: paratype Sex: f Institution: Viktora Collection Photographer: Petr Viktora Collection Location: 84 km E Gerik, Belum Forest, Perak, Malaysia 71402
|

Institution: LGBC Larry G. Bezark Collection, Sacramento, California, USA Photographer: Larry G. Bezark Collection Location: Cameron Highlands, Malaysia 36508
|
|