New Search Family, Subfamily and Tribe List

SubFamily Lepturinae

Tribe Lepturini
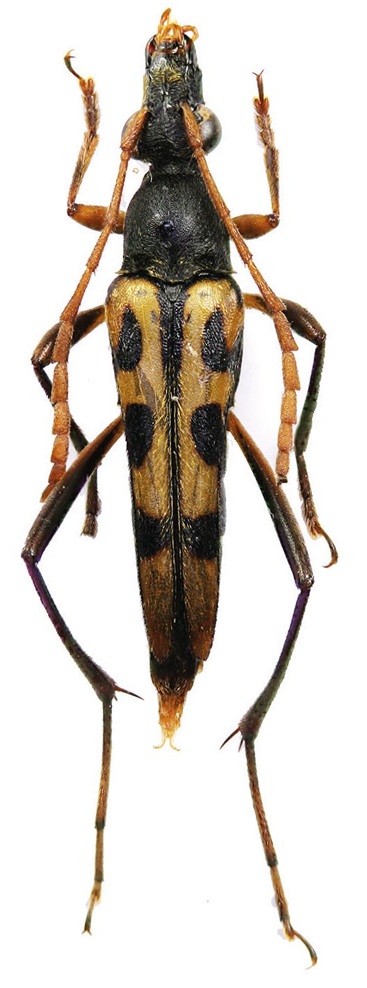
Parastrangalis dongtieni Vives 2020

Specimen Type: holotype
Sex: f
Institution: Vives Collection
Photographer: Eduard Vives
Collection Location: Dong Tien, Binh Thuan Province, Vietnam
71569

130425