_Kasatkin_MNHD_Costa_Rica.jpg)
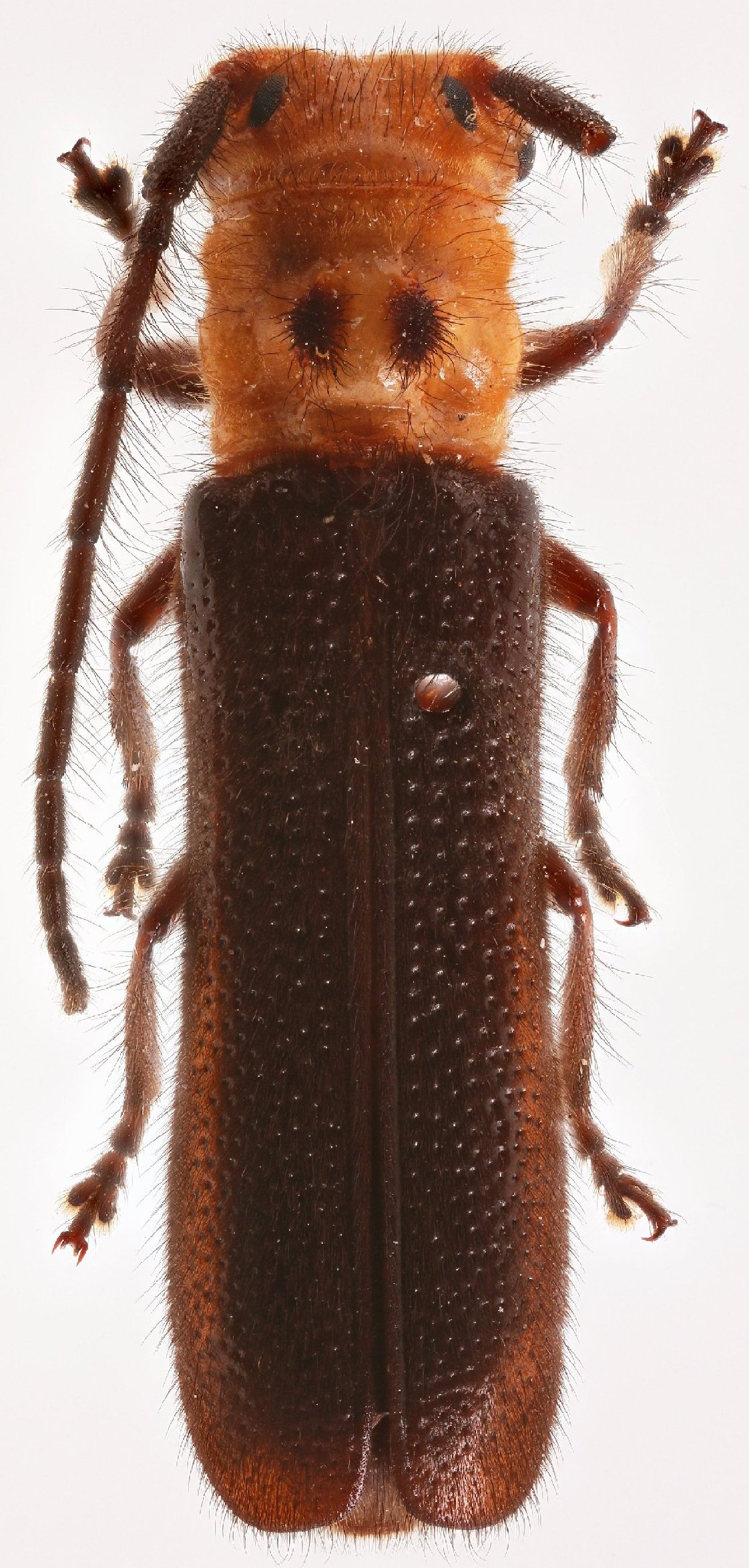
Specimen Type: holotype Sex: f Institution: NHMD Natural History Museum of Denmark, Copenhagen, Denmark Photographer: Denis Kasatkin Collection Location: Costa Rica 71506
|
_Kasatkin_MNHD_Costa_Rica.jpg)
Specimen Type: holotype Sex: f Institution: NHMD Natural History Museum of Denmark, Copenhagen, Denmark Photographer: Denis Kasatkin Collection Location: Costa Rica 71507
|