_Jin_de_Keyser_ANIC_Kalgarin_WA_Mengjie_Jin.jpg)
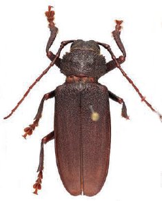
Specimen Type: holotype Sex: m Institution: ANIC Australian National Insect Collection, Canberra Photographer: Mengjie Jin Collection Location: Kalgarin, Western Australia 71629
|
_Jin_de_Keyser_ANIC_Kalgarin_WA_Mengjie_Jin.jpg)
Specimen Type: holotype Sex: m Institution: ANIC Australian National Insect Collection, Canberra Photographer: Mengjie Jin Collection Location: Kalgarin, Western Australia 71630
|