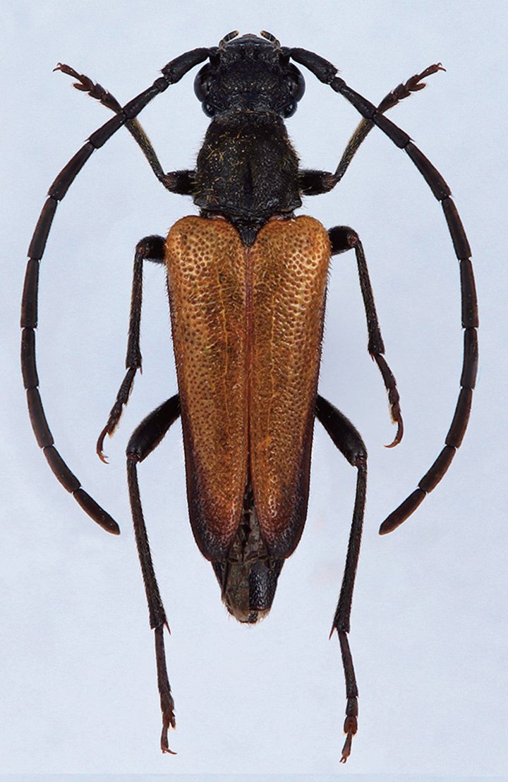
 Bellavista coll Mount Inici, Castellammare del Golfo, Trapani, Sicily, Italy.jpg)
Specimen Type: holotype Sex: m Institution: Bellavista Collection Photographer: Michelle Bellavista Collection Location: Mount Inici, Castellammare del Golfo, Trapani, Sicily, Italy 75856
|
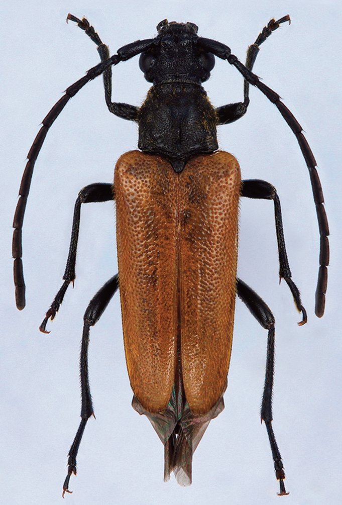
 Bellavista coll Mount Inici, Castellammare del Golfo, Trapani, Sicily, Italy.jpg)
Specimen Type: paratype Sex: f Institution: Bellavista Collection Photographer: Michelle Bellavista Collection Location: Mount Inici, Castellammare del Golfo, Trapani, Sicily, Italy 75857
|