_Weigel_Ivimka_PNG_Det_Weigel.jpg)
Specimen Type: holotype Sex: m Institution: UCD University of California, Davis, California, USA Photographer: Larry G. Bezark Collection Location: Ivimka Research Station, Papua New Guinea 64554
|
_Weigel_Ivimka_PNG_Det_Weigel.jpg)
Specimen Type: paratype Institution: UCD University of California, Davis, California, USA Photographer: Larry G. Bezark Collection Location: Ivimka Research Station, Papua New Guinea 64555
|
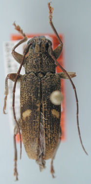
_Weigel.jpg)
Specimen Type: paratype Institution: LGBC Larry G. Bezark Collection, Sacramento, California, USA Photographer: Larry G. Bezark Collection Location: Ivimka Research Station, Papua New Guinea 64556
|
|