 Pic MNHN Hoa Binh, Tonkin, Vietnam now Dymasius GC.jpg)
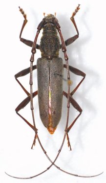
Derolus angustatus Pic Specimen Type: holotype © MNHN Institution: MNHN Museum of Natural History Paris, France Photographer: Gerard Chemin Collection Location: Hoa Binh, Tonkin, Vietnam 77155
|

Photographer: Pierre Haller, Cerambycoidea Forum Collection Location: Vietnam 49214
|