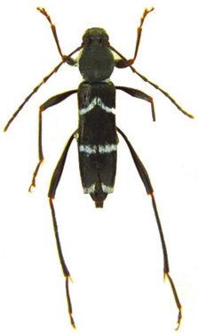
_Li_Tian_Chen_SAUC_Saoshan_Yunnan_China_Li_Chen_pic.jpg)
Specimen Type: holotype Sex: m Institution: SAUC Insect Collection of the Southwest Agricultural University, Chongqing, China Photographer: Li & Chen Collection Location: Saoshan, Yunnan Province, China 58584
|
_Li_Tian_Chen_SAUC_Saoshan_Yunnan_China_Li_Chen_pic.jpg)
Specimen Type: holotype Sex: m Institution: SAUC Insect Collection of the Southwest Agricultural University, Chongqing, China Photographer: Li & Chen Collection Location: Saoshan, Yunnan Province, China 70466
|
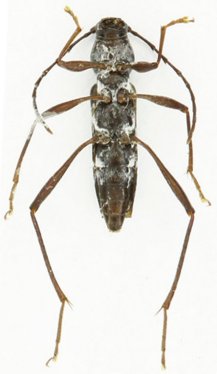
_Li_Tian_Chen_Saoshan_Yunnan_Zootaxa.jpg)
Sex: f Collection Location: Saoshan, Yunnan Province, China 58581
|
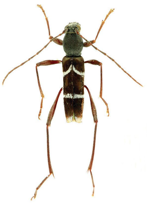
_Li_Tian_Chen_Saoshan_Yunnan_Zootaxa.jpg)
Sex: f Collection Location: Saoshan, Yunnan Province, China 58582
|
_Li_Tian_Chen_Saoshan_Yunnan_Zootaxa.jpg)
Sex: f Collection Location: Saoshan, Yunnan Province, China 58583
|
|