New Search Family, Subfamily and Tribe List

SubFamily Cerambycinae

Tribe Clytini
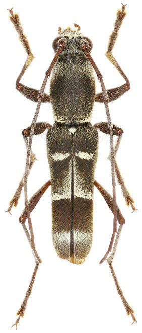
Demonax fochi Pic 1918

Sex: m
Institution: Viktora Collection
Photographer: Petr Viktora
Collection Location: Quang Binh, Vietnam
77119


Sex: f
Institution: Viktora Collection
Photographer: Petr Viktora
Collection Location: Quang Binh, Vietnam
77120

130425