New Search Family, Subfamily and Tribe List

SubFamily Cerambycinae

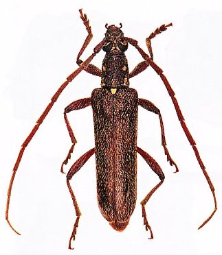
Tribe Strongylurini
Strongylurus arduus Elliot & McDonald 1972

Specimen Type: paratype
Institution: ANIC Australian National Insect Collection, Canberra
Photographer: Slipinski & Escalona
Collection Location: Glen Alpine, Queensland, Australia
61920


Photographer: Slipinski & Escalona
61921

130425