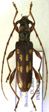
_Huede_ZSM_Pematang_Siantar_N_Sumatra_Mirosh_pic.jpg)
Coptocercus quatuordecimsignatus sumatranus Huedepohl Specimen Type: holotype Sex: f Institution: ZSM Zoologische Staatssammlung, München, Germany Photographer: Miroshnikov Collection Location: Pematang, Siantar, N Sumatra 58910
|
_Huede_ZSM_Pematang_Siantar_N_Sumatra_Mirosh_pic.jpg)
Coptocercus quatuordecimsignatus sumatranus Huedepohl Specimen Type: holotype Sex: f Institution: ZSM Zoologische Staatssammlung, München, Germany Photographer: Miroshnikov Collection Location: Pematang, Siantar, N Sumatra 58911
|
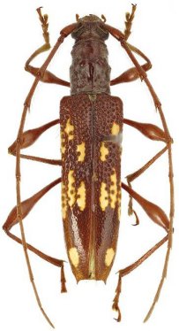
_BMNH_Java_Indonesia_Keith_Matsumoto_pic_now_sumatranus.jpg)
Coptocercus javanicus Wang Specimen Type: holotype Sex: m Institution: BMNH British Museum Natural History, London, UK Photographer: Keith Matsumoto Collection Location: Java, Indonesia 58912
|
_BMNH_Mt_Kawie_Pasoeroean_Java_Keith_Matsumoto_pic_now_sumatranus.jpg)
Coptocercus javanicus Wang Specimen Type: paratype Sex: f Institution: BMNH British Museum Natural History, London, UK Photographer: Keith Matsumoto Collection Location: Mt Kawie, Pasoeroean, Java 58913
|
_BMNH_Mt_Kawie_Pasoeroean_Java_Keith_Matsumoto_pic_now_sumatranus.jpg)
Coptocercus javanicus Wang Specimen Type: paratype Sex: f Institution: BMNH British Museum Natural History, London, UK Photographer: Keith Matsumoto Collection Location: Mt Kawie, Pasoeroean, Java 58914
|

Photographer: Ole Mehl Collection Location: Cameron Highlands, Malaysia 58915
|

Photographer: Ole Mehl Collection Location: Mae Hong Son, NW Thailand 58920
|

Photographer: Miroshnikov Collection Location: Mt Talang, W Sumatra 58921
|

Photographer: Philippe Jacquot, Cerambycoidea Forum Collection Location: East Java 48970
|
|