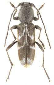
 Vorisek Coll Golestan NP, 45 km E Minudasht, Golestan Prov, Iran.jpg)
Specimen Type: holotype Sex: m Institution: Vorisek Collection Photographer: Huseyin Ozdikmen (from original paper) Collection Location: Golestan National Park, 45 km E Minudasht, Golestan Prov, Iran 78857
|

Photographer: Navratil & Hoskovec Collection Location: vic Terjeni Village, Golestan Province, Iran 79007
|