_Miroshnikov_and_Lin.jpg)
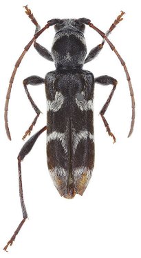
Specimen Type: holotype Sex: f Institution: IZAS Zoological Institute, Chinese Academy of Sciences, Beijing, China Photographer: Meiying Lin Collection Location: Luding, Xinxing, Sichan, China 42980
|
_Miroshnikov_and_Lin.jpg)
Specimen Type: holotype Sex: f Institution: IZAS Zoological Institute, Chinese Academy of Sciences, Beijing, China Photographer: Meiying Lin Collection Location: Luding, Xinxing, Sichan, China 42981
|