_Miroshnikov_and_Lin.jpg)
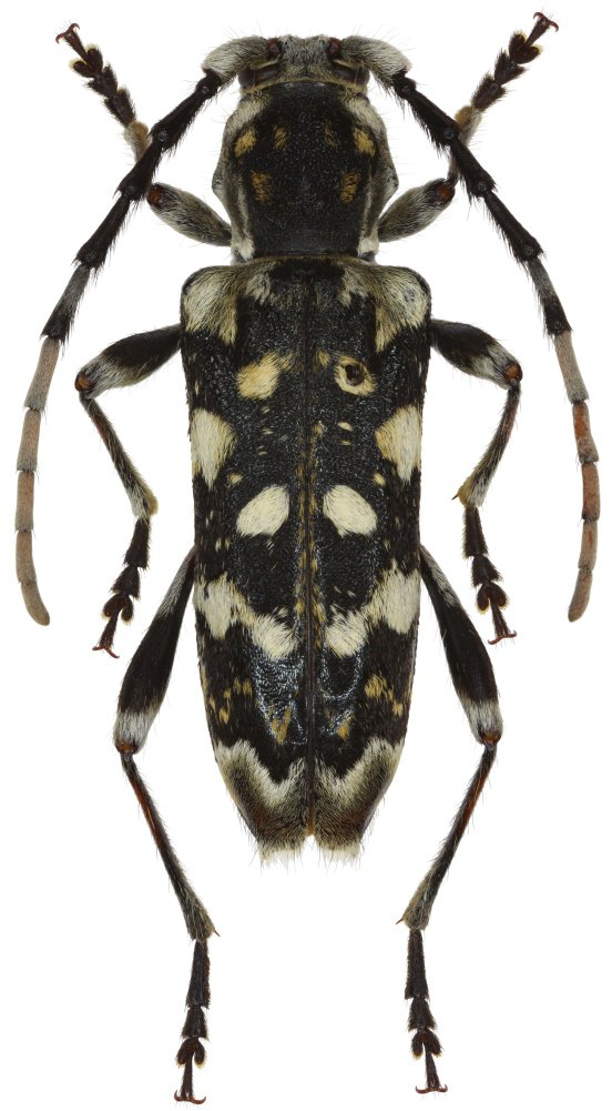
Specimen Type: holotype Sex: f Institution: IZAS Zoological Institute, Chinese Academy of Sciences, Beijing, China Photographer: Meiying Lin Collection Location: Lushui, Yaoliaping, Yunnan, China 42976
|
 Miroshnikov & Lin IZAS Lushui, Yaoliaping, Yunnan, China ML pic.jpg)
Specimen Type: holotype Sex: f Institution: IZAS Zoological Institute, Chinese Academy of Sciences, Beijing, China Photographer: Meiying Lin Collection Location: Lushui, Yaoliaping, Yunnan, China 51810
|