_Pic_MNHN_Chapa_Tonkin_Vietnam.jpg)
Specimen Type: lectotype Sex: m Institution: MNHN Museum of Natural History Paris, France Collection Location: Chapa, Tonkin, Vietnam 71554
|
_Pic_MNHN_Chapa_Tonkin_Vietnam.jpg)
Specimen Type: lectotype Sex: m Institution: MNHN Museum of Natural History Paris, France Collection Location: Chapa, Tonkin, Vietnam 71555
|
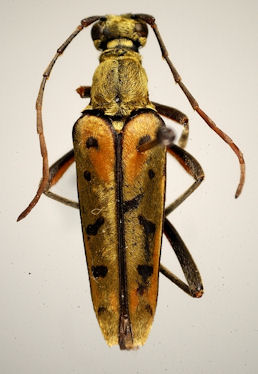
_Hay_Villiers_Mt_Mauson_Tonkin_Vietnam_now_nigrogutt.jpg)
Leptura fruhstorferi Hayashi & Villiers Specimen Type: holotype Sex: m Institution: MNHN Museum of Natural History Paris, France Collection Location: Mt Mauson, Tonkin, Vietnam 71552
|
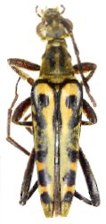
_Hay_Villiers_Mt_Mauson_Tonkin_Vietnam_now_nigrogutt.jpg)
Leptura fruhstorferi Hayashi & Villiers Specimen Type: holotype Sex: m Institution: MNHN Museum of Natural History Paris, France Collection Location: Mt Mauson, Tonkin, Vietnam 71553
|
_Gressitt_AMNH_China_Tibet.jpg)
Leptura pubevirens Gressitt Specimen Type: holotype Sex: f? Institution: AMNH American Museum of Natural History, New York, NY, USA Collection Location: Xizang Tibet, China 51793
|
_Pic_Changtong_Laibin_Jinxiu_Guangxi_China.jpg)
Sex: m Collection Location: Changtong, Laibin, Jinxiu, Guangxi, China 71556
|
_Pic_Gongshan_Laibin_Jinxiu_Yunnan_China2.jpg)
Sex: m Collection Location: Gongshan, Laibin, Jinxiu, Guangxi, China 71557
|

Collection Location: Ban Saluei, Mt Phu Pan, Hua Phan Province, Laos 71558
|
_Phja-den.jpg)
Institution: LGBC Larry G. Bezark Collection, Sacramento, California, USA Photographer: Larry G. Bezark Determiner: Cerambycoidea Forum, Francesco Vitali Collection Location: Phja-den, Cao Bang Province, Vietnam 40919
|
_Phja-den.jpg)
Institution: LGBC Larry G. Bezark Collection, Sacramento, California, USA Photographer: Larry G. Bezark Determiner: Cerambycoidea Forum, Francesco Vitali Collection Location: Phja-den, Cao Bang Province, Vietnam 40920
|

Photographer: Steve Lingafelter Collection Location: Pia Oac, Cao Bang Province, Vietnam 51791
|
|