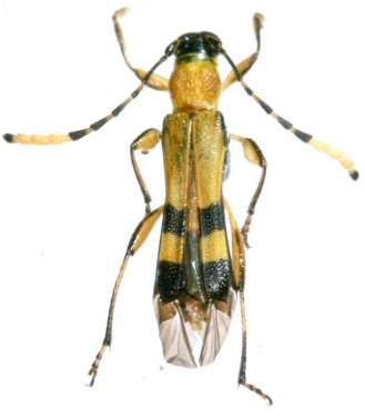
_Audureau_Demez_MNHN_Pozuzo_Pasco_Peru.jpg)
Specimen Type: holotype Sex: m Institution: MNHN Museum of Natural History Paris, France Photographer: Alain Audureau Collection Location: Pozuzo, Pasco, Peru 42844
|
_Audureau_Demez_Pozuzo_Pasco_Peru.jpg)
Specimen Type: paratype Photographer: Alain Audureau Collection Location: Pozuzo, Pasco, Peru 42845
|
 Aud Demez Pozuzo, Pasco, Oxapampa, Province, Peru JCPC LGB.jpg)
Specimen Type: paratype Institution: JCPC Jim Cope Collection, San Jose, California, USA now at CSCA, Sacramento Photographer: Larry G. Bezark Collection Location: Pozuzo, Pasco, Oxapampa, Province, Peru 98100
|
|