_Yunnan_Meiying.jpg)
Specimen Type: holotype Sex: m Institution: IZAS Zoological Institute, Chinese Academy of Sciences, Beijing, China Photographer: Meiying Lin Collection Location: Menghai, Nuoshan, Yunnan, China 42752
|
_Yunnan_Meiying.jpg)
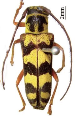
Specimen Type: paratype Sex: f Photographer: Meiying Lin 42754
|