_Lin_and_Liu_Meiying.jpg)
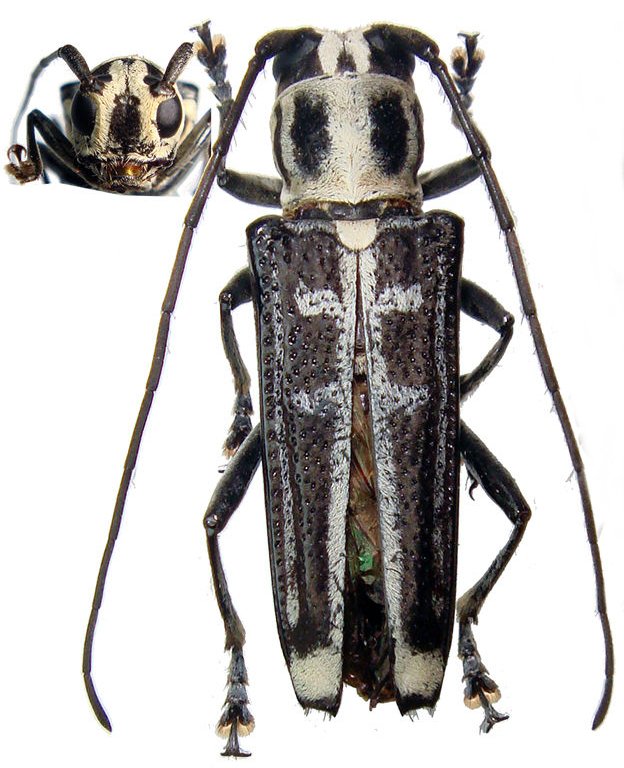
Specimen Type: holotype Sex: f Institution: IZAS Zoological Institute, Chinese Academy of Sciences, Beijing, China Photographer: Meiying Lin Collection Location: 20 km NW Jinghong, Yunnan, China 42786
|
_Lin_and_Liu_Meiying.jpg)
Specimen Type: holotype Sex: f Institution: IZAS Zoological Institute, Chinese Academy of Sciences, Beijing, China Photographer: Meiying Lin Collection Location: 20 km NW Jinghong, Yunnan, China 42787
|