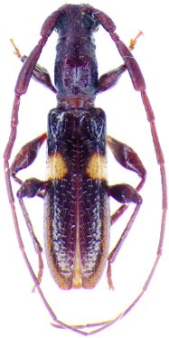
_M_G_CAS_1kmE_Sabanilla_Guayas_Ecuador.jpg)
Specimen Type: holotype Sex: m Institution: CAS California Academy of Sciences, San Francisco, CA, USA Photographer: Larry G. Bezark Collection Location: 1 km E Sabanilla, Guayas, Ecuador 44927
|
_Mart_Galileo_CAS_Sabanilla_Guayas_Ecuador.jpg)
Specimen Type: holotype Sex: m Institution: CAS California Academy of Sciences, San Francisco, CA, USA Collection Location: 1 km E Sabanilla, Guayas, Ecuador 42464
|