New Search Family, Subfamily and Tribe List

SubFamily Cerambycinae

Tribe Tropidini Neoibidionina
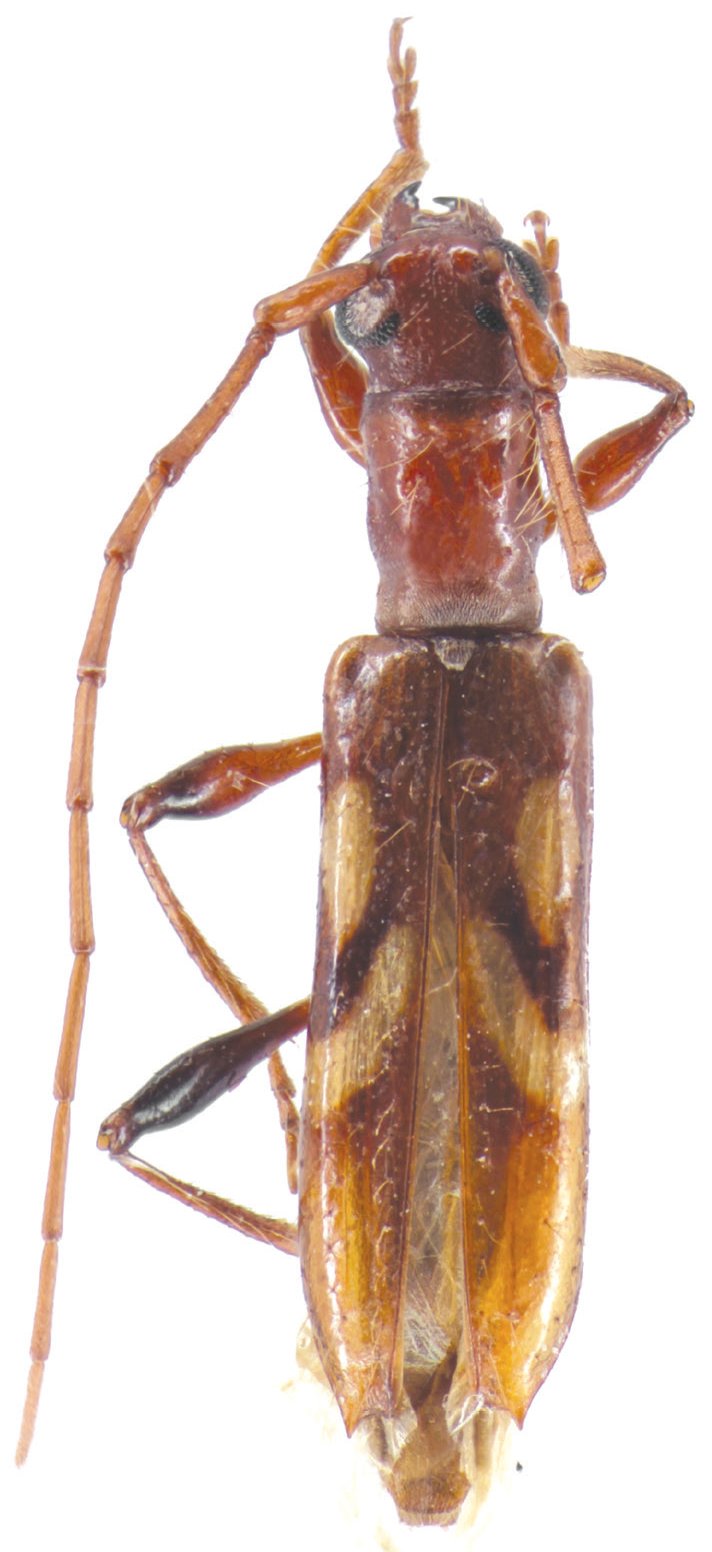
Compsibidion pictum Galileo, Martins & Nascimento 2013

Specimen Type: holotype
Sex: f
Institution: MZFS Universidade Estadual de Feira de Santana, Bahia State, Brazil
Photographer: Maria Helena Galileo
Collection Location: Parque Nacional da Serra das Confusoes, Caracol, Piaui, Brazil
41953

130425