_Vives_coll_Lombok_Indonesia_Elytron.jpg)
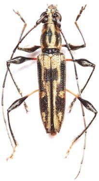
Specimen Type: holotype Sex: m Institution: Vives Collection Determiner: Elytron Collection Location: Lombok, Indonesia 59228
|

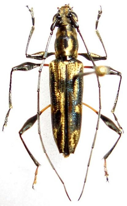
Photographer: Tomas Tichư, Cerambycoidea Forum Collection Location: Lombok Island, Indonesia 48481
|

Photographer: Sergei Troccoli, Cerambycoidea Forum Collection Location: Lombok Island, Indonesia 48482
|
|