_Tava_MNHN_Saul_Mt La_Fumee_Fr_Guiana.jpg)
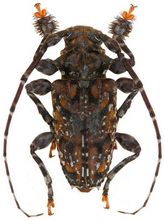
Psapharochrus pantherinus Tavakilian Specimen Type: paratype Sex: m Institution: MNHN Museum of Natural History Paris, France Photographer: Gerard Tavakilian Collection Location: Saul, Mt La Fumee, French Guiana 67988
|
_Tava_Piste_Coralie_Fr_Guiana.jpg)
Psapharochrus pantherinus Tavakilian Specimen Type: paratype Sex: f Photographer: Gerard Tavakilian Collection Location: Piste, Coralie, French Guiana 67989
|