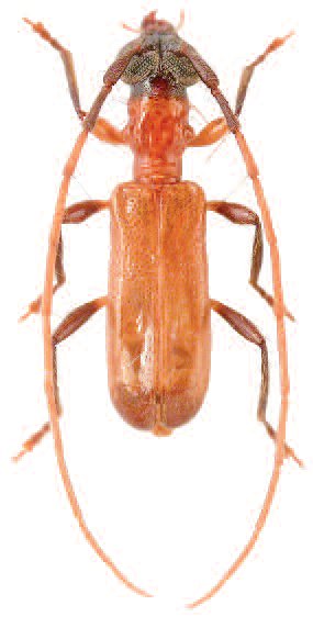
_Pic_MNHN_Hoa_Binh_Tonkin_Vietnam_now_Stenhomalus_Lubos.jpg)
Falsobrium apicale Pic Specimen Type: holotype Sex: f Institution: MNHN Museum of Natural History Paris, France Photographer: Lubo Dembický Collection Location: Hoa Binh, Tonkin, Vietnam 67174
|
_(Pic)_S_Vietnam_Lubos.jpg)
Sex: m Photographer: Lubo Dembický Collection Location: S Vietnam 67182
|