New Search Family, Subfamily and Tribe List

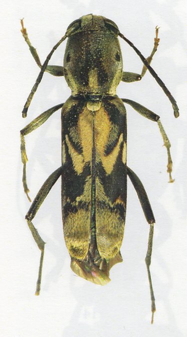
SubFamily Cerambycinae

Tribe Clytini
Xylotrechus gahani Duvivier 1891

Photographer: Pierre Juhel
Collection Location: Lope National Park, Gabon
74780


Photographer: Jon Jorpeland, Cerambycoidea Forum
Determiner: Thierry Bouyer, Cerambycoidea Forum
Collection Location: Bobiri, Kumasi, Ghana
66893

130425