_Gounelle_MNHN_FTH.jpg)
Specimen Type: holotype Sex: f Institution: MNHN Museum of Natural History Paris, France Collection Location: Jatai, Goias, Brazil 15524
|
 Gounelle MZSP Brazil (São Paulo, Batatais) SS.jpg)
Sex: m Institution: MZSP Museu de Zoologia da Universidade de São Paulo, Brazil Photographer: Antonio Santos-Silva Collection Location: Batatais, São Paulo, Brazil 95977
|

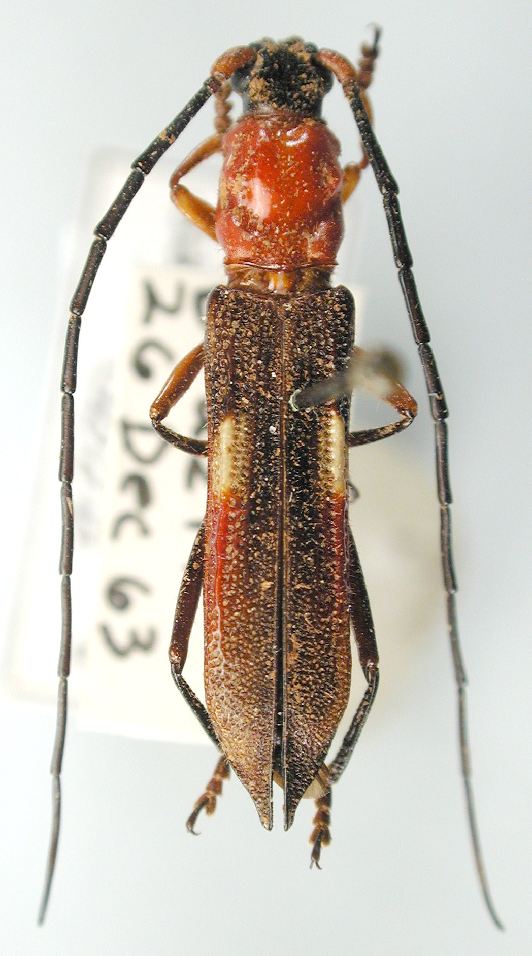
Institution: JCPC Jim Cope Collection, San Jose, California, USA now at CSCA, Sacramento Photographer: Larry G. Bezark Determiner: Bira Martins Collection Location: Brasilia, Brazil 98015
|

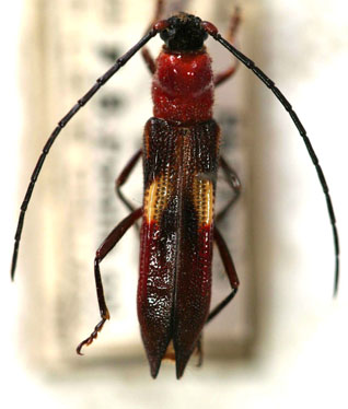
Institution: JCPC Jim Cope Collection, San Jose, California, USA now at CSCA, Sacramento Photographer: Larry G. Bezark Determiner: Bira Martins Collection Location: Brasilia, Brazil 98016
|

Institution: MZSP Museu de Zoologia da Universidade de São Paulo, Brazil Photographer: Steve Lingafelter Determiner: Martins Collection Location: Bolivia 5483
|
|