_Holzschuh_NE_Laos_Hua_Phan_Prov_Phou_Pan.jpg)
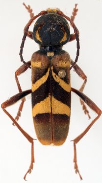
Specimen Type: holotype Sex: f Institution: Holzschuh Collection Determiner:
Entomologica Basiliensa et Collectionis Frey Collection Location: Mt Phou Pan, Hua Phan Province, NE Laos 66761
|
_Holz.jpg)
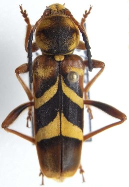
Specimen Type: holotype Sex: f Institution: Holzschuh Collection Photographer: Lubo Dembický Collection Location: Mt Phou Pan, Hua Phan Province, NE Laos 66762
|

Photographer: Gerard Chemin, Cerambycoidea Forum Collection Location: Myanmar 66763
|

Photographer: Xavier Gouverneur, Cerambycoidea Forum Collection Location: Laos 66764
|

Photographer: Pierre Haller, Cerambycoidea Forum Collection Location: Laos 66765
|
|