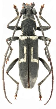
_Pic_MNHN_Saigon_Vietnam_now_Derolus_Azadeh_Taghavian.jpg)
Prothema argenteofasciata Pic Specimen Type: holotype Sex: m Institution: MNHN Museum of Natural History Paris, France Photographer: Azadeh Taghavian Collection Location: Saigon, Vietnam 69595
|
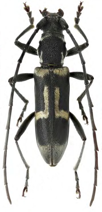
_Pic_MNHN_Saigon_Vietnam_now_Derolus_Azadeh_Taghavian.jpg)
Prothema argenteofasciata Pic Specimen Type: holotype Sex: m Institution: MNHN Museum of Natural History Paris, France Photographer: Azadeh Taghavian Collection Location: Saigon, Vietnam 69596
|
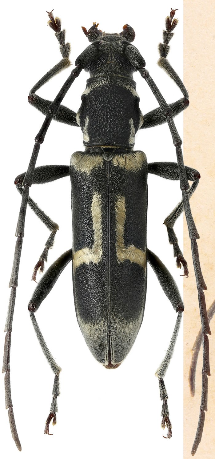
_Gressitt_Rond_BPBM_Nobuo_Ohbay.jpg)
Derolus glauciapicalis Gressitt & Rondon Specimen Type: holotype Sex: m Institution: BPBM Bernice P. Bishop Museum, Honolulu, Hawaii, USA Photographer: Nobuo Ohbayashi Collection Location: Sayaboury (Xaignabouri), Laos 43367
|
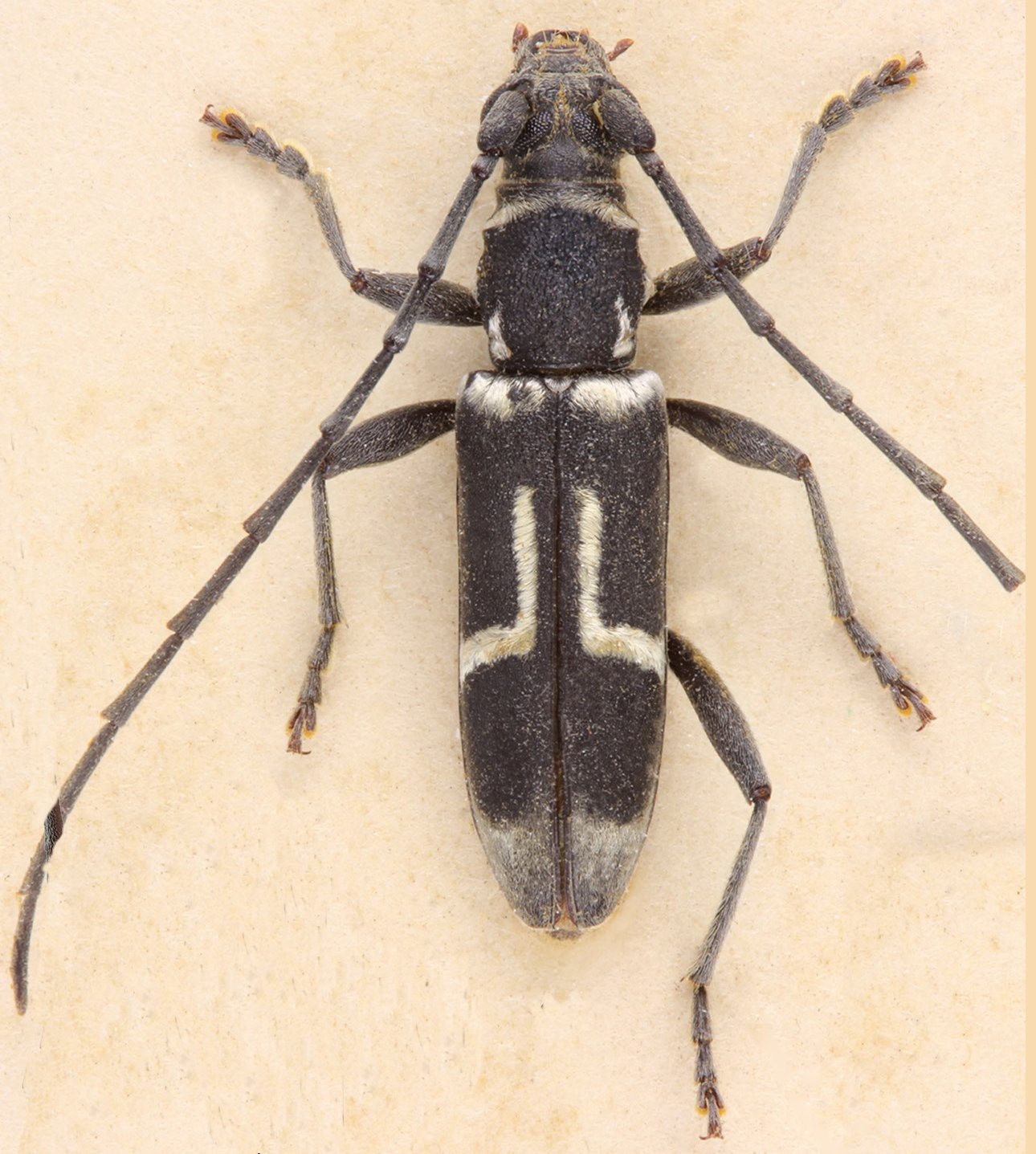
.jpg)
Derolus glauciapicalis Gressitt & Rondon Specimen Type: paratype Institution: BPBM Bernice P. Bishop Museum, Honolulu, Hawaii, USA Photographer: Jim Cope Collection Location: Sayaboury (Xaignabouri), Laos 37240
|

Institution: BPBM Bernice P. Bishop Museum, Honolulu, Hawaii, USA Photographer: Jim Cope Collection Location: Laos 37241
|
_(Pic)_Thailand.jpg)
Sex: m Collection Location: Thailand 69597
|

Photographer: Max Smirnov, Cerambycoidea Forum Collection Location: Thailand 49220
|
 Gress Rond Mirosh coll Mae Tha, Lamphun, NW Thailand.jpg)
Sex: m Photographer: Alexandr Miroshnikov Collection Location: Mae Tha, Lamphun, NW Thailand 90915
|
|