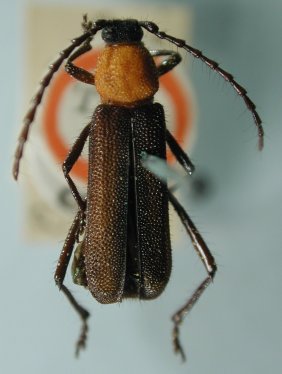
_White_BMNH_Para_Brazil_nowCallancyla_LGB.jpg)
Eriphus croceicollis White Specimen Type: holotype Sex: f Institution: BMNH British Museum Natural History, London, UK Photographer: Larry G. Bezark Collection Location: Para, Brazil 46719
|
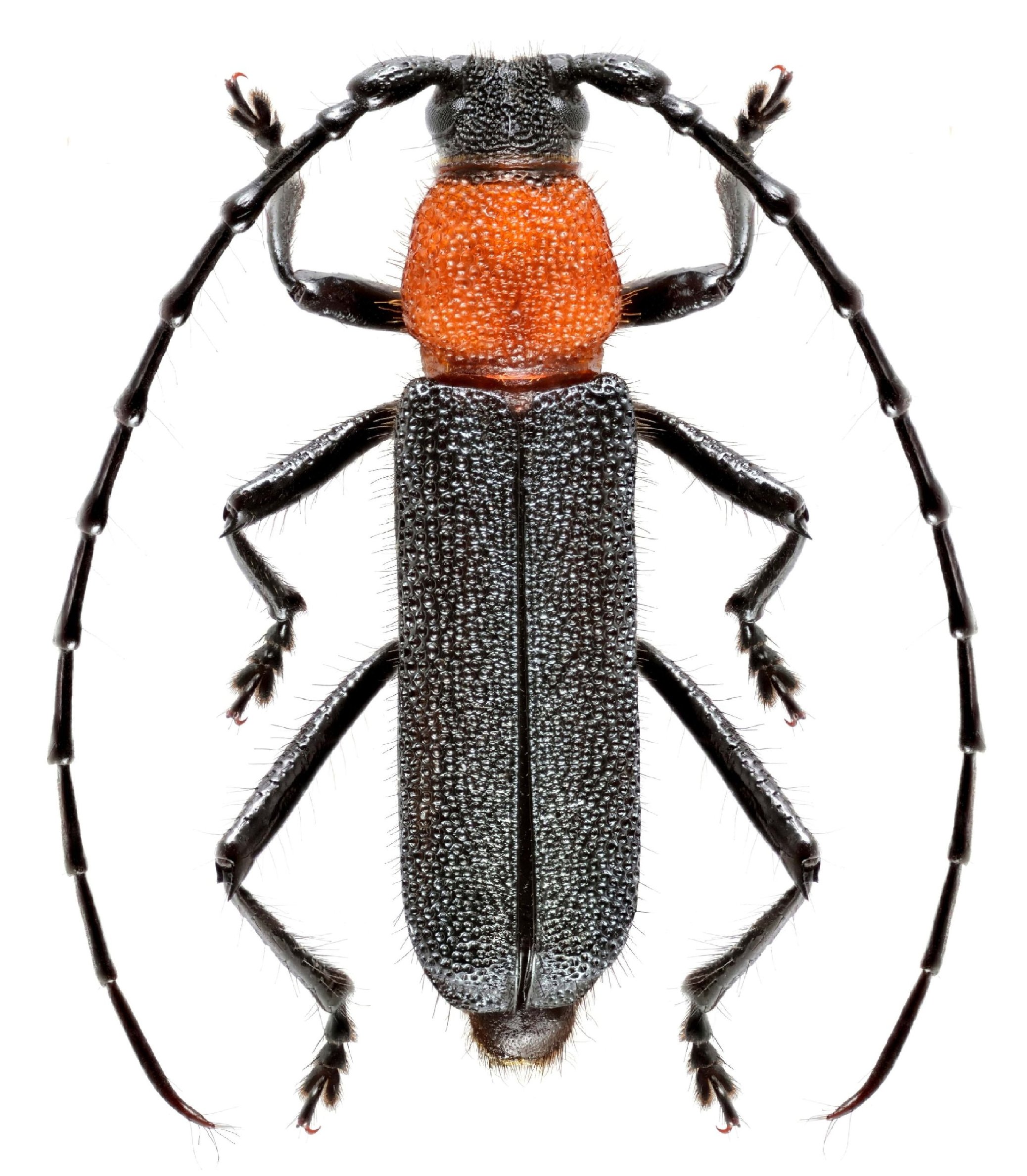
 (White) Stoupan, Matoury, French Guiana Robin.jpg)
Sex: m Photographer: Frédéric Robin Collection Location: Stoupan, Matoury, French Guiana 79303
|
 (White) Montage de Kaw, Roura, French Guiana Robin.jpg)
Sex: f Photographer: Frédéric Robin Collection Location: Montage de Kaw, Roura, French Guiana 28614
|
_Faure_French_Guiana.jpg)
Photographer: Denis Faure Collection Location: French Guiana 21672
|
|