_Clarke_MNKM_Floripondio_Provincia_Florida_SC_Bolivia.jpg)
Specimen Type: holotype Sex: m Institution: MNKM Museo de Hist Nat Noel Kempff Mercado Santa Cruz de la Sierra, Bolivia Collection Location: Floripondio, Provincia Florida, Santa Cruz, Bolivia 40029
|
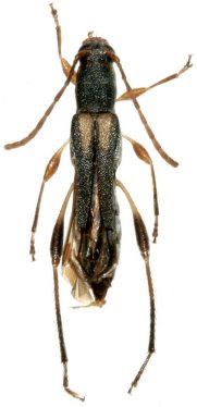
_Clarke_MNKM_Floripondio_Provincia_Florida_SC_Bolivia.jpg)
Specimen Type: paratype Sex: f Institution: MNKM Museo de Hist Nat Noel Kempff Mercado Santa Cruz de la Sierra, Bolivia Collection Location: Floripondio, Provincia Florida, Santa Cruz, Bolivia 40030
|