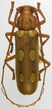
_M_and_G_IZAFM_Maracay_Rancho_Gr_Arag_Venez.jpg)
Specimen Type: holotype Sex: m Institution: IZAFM Instituto de Zoología Agrícola, Faculdad de Agronomía de Maracay, Venezuela Photographer: Larry G. Bezark Collection Location: Maracay (Rancho Grande), Aragua, Venezuela 33893
|
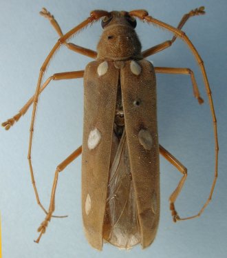
.jpg)
Specimen Type: holotype Institution: IZAFM Instituto de Zoología Agrícola, Faculdad de Agronomía de Maracay, Venezuela Collection Location: Maracay (Rancho Grande), Aragua, Venezuela 13952
|