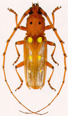
_Lane_and_Martins_MZSP_SWL_=_Coccoderus_longespinicornis.jpg)
Coccoderus spinosus Lane & Martins Specimen Type: holotype Sex: m Institution: MZSP Museu de Zoologia da Universidade de São Paulo, Brazil Photographer: Steve Lingafelter Collection Location: Centralina, Mato Grosso, Brazil 5793
|
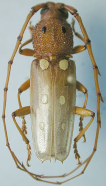
_(m)_Lane_and_Martins_MZUSP_JAC_=_Coccoderus_longespinicornis_Fuchs.jpg)
Coccoderus spinosus Lane & Martins Specimen Type: holotype Sex: m Institution: MZSP Museu de Zoologia da Universidade de São Paulo, Brazil Photographer: John Chemsak Collection Location: Centralina, Mato Grosso, Brazil 15699
|