_Martins_CMNH.jpg)
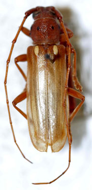
Specimen Type: holotype Sex: m Institution: CMNH Carnegie Museum of Natural History, Pittsburgh, PA, USA Photographer: Steve Lingafelter Collection Location: Provincia del Sara, Santa Cruz, Bolivia 5782
|
_Martins_MZSP_SWL.jpg)
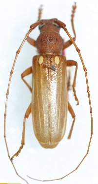
Institution: MZSP Museu de Zoologia da Universidade de São Paulo, Brazil Photographer: Steve Lingafelter 5781
|