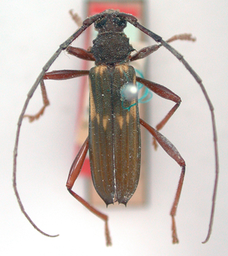
 Bates MNHN Sao Paolo de Olivenca, Amazonas, Brazil Moure.jpg)
Specimen Type: holotype Sex: m Institution: MNHN Museum of Natural History Paris, France Photographer: JS Moure Collection Location: Sao Paolo de Olivenca, Amazonas, Brazil 100540
|
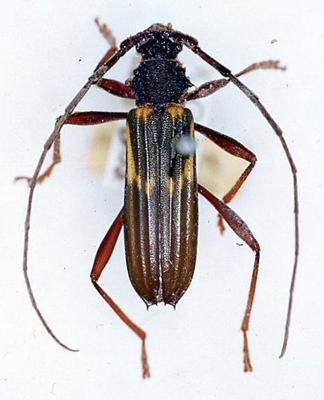
_Bates_MNHN_FTH.jpg)
Specimen Type: holotype Sex: m Institution: MNHN Museum of Natural History Paris, France Photographer: Frank T. Hovore Collection Location: Sao Paolo de Olivenca, Amazonas, Brazil 15562
|

Institution: EMEC Essig Museum of Entomology, Berkeley, CA, USA Photographer: Larry G. Bezark Collection Location: Loreto, Iquitos, Peru 44922
|

Institution: EMEC Essig Museum of Entomology, Berkeley, CA, USA Photographer: Larry G. Bezark Collection Location: Loreto, Iquitos, Peru 44923
|
|