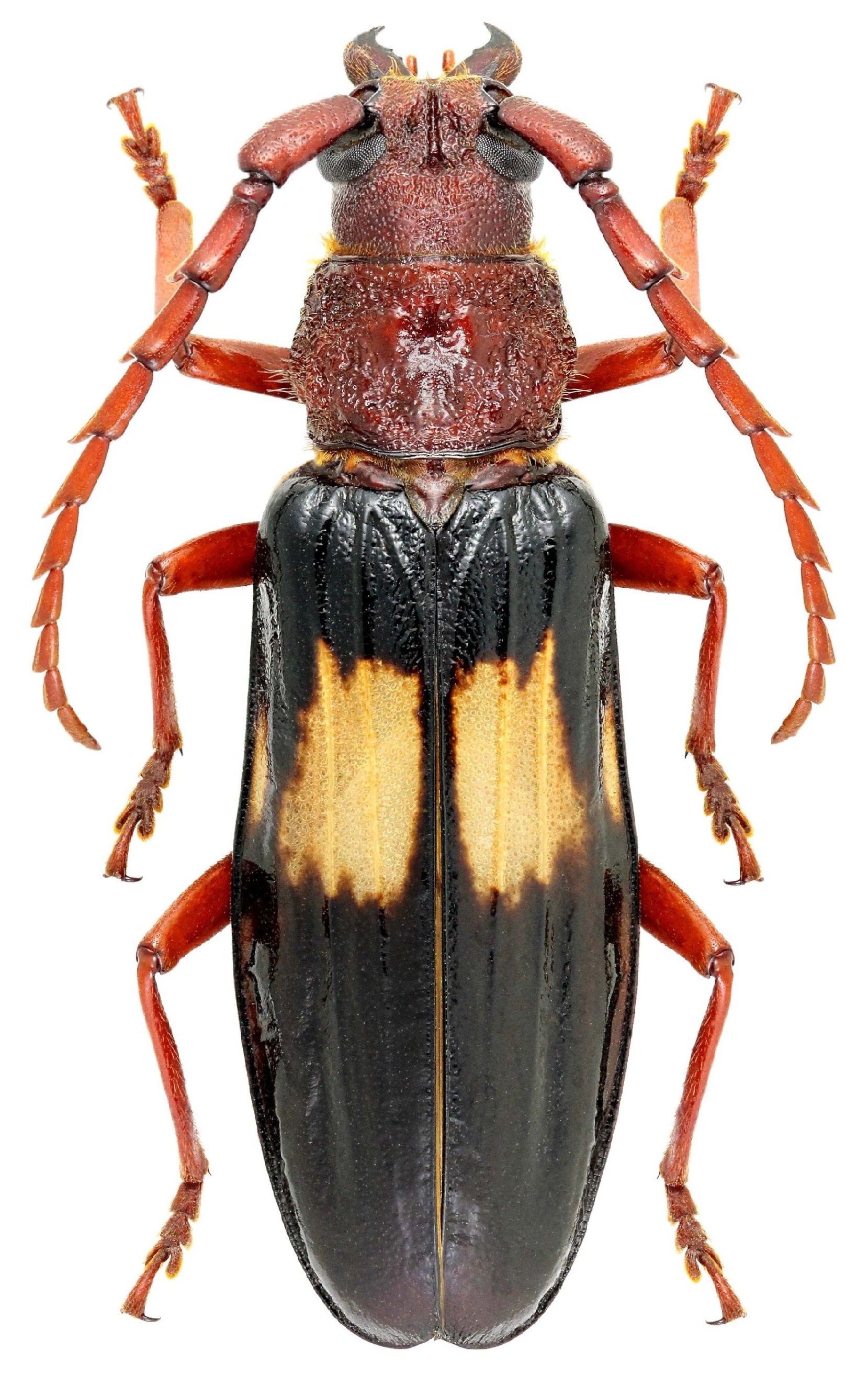
_Martins_and_Monne_MNRJ_SWL.jpg)
Specimen Type: holotype Sex: m Institution: MNRJ Museu Nacional Universidade do Rio Janeiro, Brazil Photographer: Steve Lingafelter Collection Location: Manaus, Amazonas, Brazil 14203
|
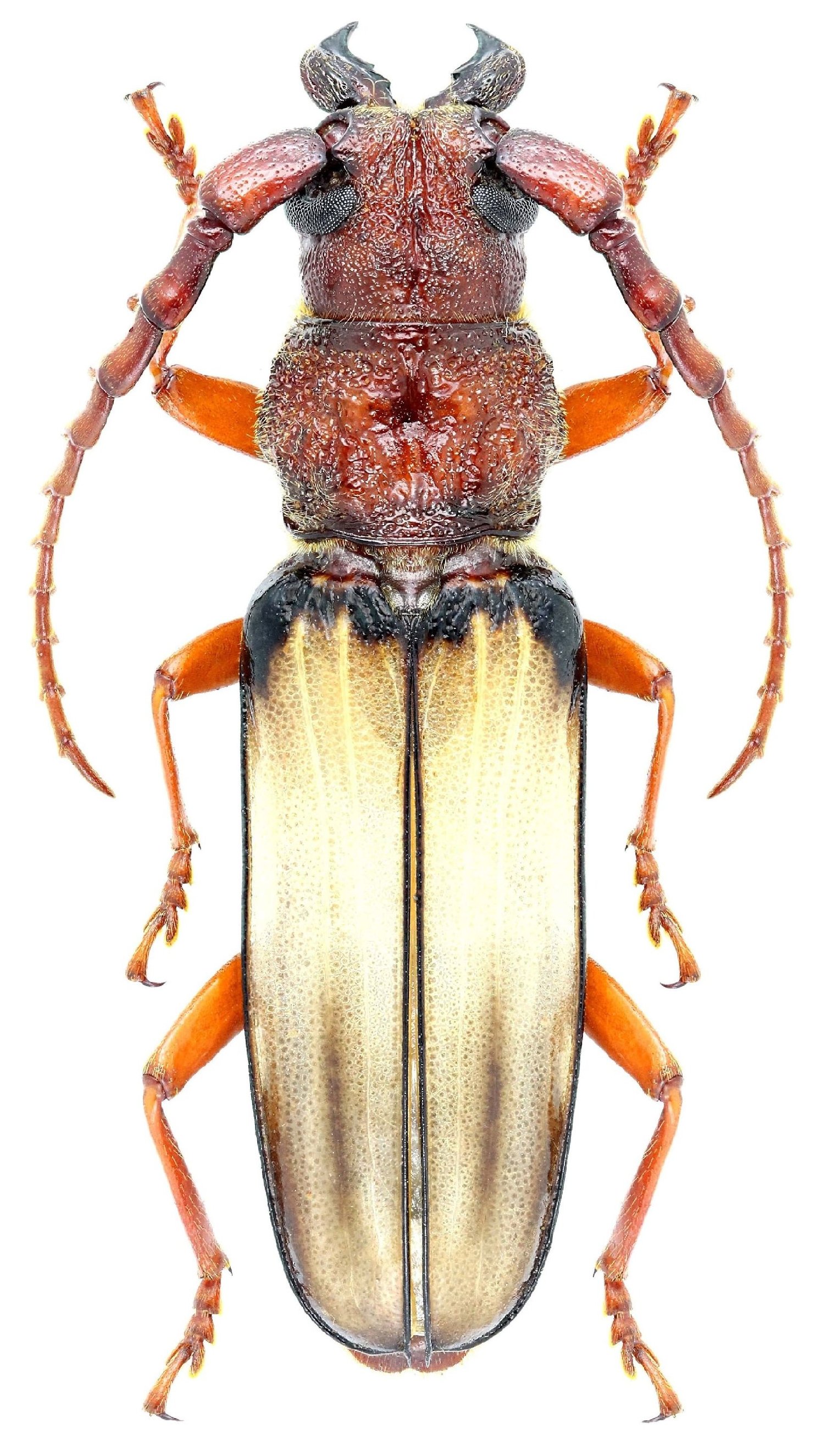
 Mart Monne Montagne des Chevaux, French Guiana Robin.jpg)
Sex: m Photographer: Frédéric Robin Collection Location: Montagne de Kaw, French Guiana 14204
|

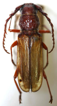
Institution: UCB Essig Museum of Entomology, Berkeley, California, USA Photographer: Larry G. Bezark Determiner: Tavakilian 14205
|
_Martins_and_Monne_Faure_French_Guiana.jpg)
Sex: f Photographer: Denis Faure Collection Location: French Guiana 25429
|
_Martins_and_Monne_Faure_French_Guiana.jpg)
Sex: m Photographer: Denis Faure Collection Location: French Guiana 25430
|
 Mart Monne Montagne de Kaw, French Guiana Robin.jpg)
Sex: f Photographer: Frédéric Robin Collection Location: Montagne de Kaw, French Guiana 26668
|

26669
|

Photographer: Odette Morvan Collection Location: French Guiana 31525
|
_Kaw_Fr_Guiana_Giuglaris.jpg)
Sex: mf Photographer: Jean-Louis Giuglaris Collection Location: Kaw, French Guiana 29396
|