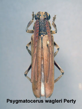
_Lane_MZSP_JAC_=_Psygmatocerus_wagleri_Perty.jpg)
Psygmatocerus elegans Lane Specimen Type: holotype Sex: m Institution: MZSP Museu de Zoologia da Universidade de São Paulo, Brazil Photographer: John Chemsak Collection Location: Salôbra, Mato Grosso do Sul, Brazil 18355
|
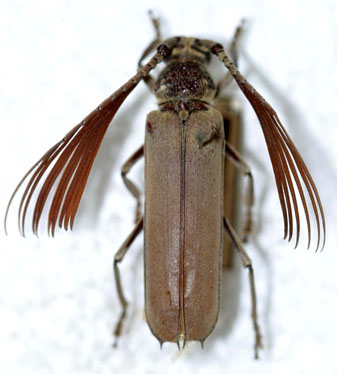
_Lane_MZSP_SWL_=_Psygmatocerus_wagleri_Perty.jpg)
Psygmatocerus elegans Lane Specimen Type: holotype Sex: m Institution: MZSP Museu de Zoologia da Universidade de São Paulo, Brazil Photographer: Steve Lingafelter Collection Location: Salôbra, Mato Grosso do Sul, Brazil 12769
|

Photographer: Jim Wappes Collection Location: Bolivia 12771
|

Institution: UCD University of California, Davis, California, USA Photographer: Larry G. Bezark Collection Location: Brazil 12772
|

Photographer: Ole Mehl Collection Location: Department Boqueron, Paraguay 36893
|
|