New Search Family, Subfamily and Tribe List

SubFamily Cerambycinae

Tribe Torneutini
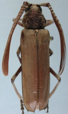
Psygmatocerus pubescens Bruch 1926

Institution: MNRJ Museu Nacional Universidade do Rio Janeiro, Brazil
Photographer: Larry G. Bezark
33790


Photographer: Ole Mehl
Collection Location: Department President Hayes, Paraguay
36894

130425