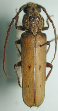
_Lane_MZSP_SWL.jpg)
Specimen Type: holotype Sex: m Institution: MZSP Museu de Zoologia da Universidade de São Paulo, Brazil Photographer: Steve Lingafelter Collection Location: Salôbra, Mato Grosso do Sul, Brazil 12489
|

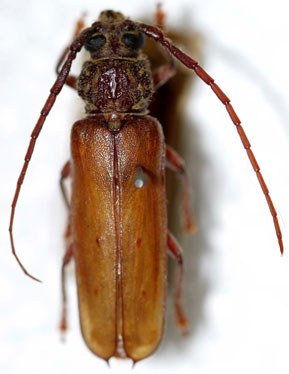
Photographer: Jim Wappes Collection Location: Bolivia 12490
|

Institution: UCB Essig Museum of Entomology, Berkeley, California, USA Photographer: Larry G. Bezark Determiner: Tavakilian 12492
|

Institution: LGBC Larry G. Bezark Collection, Sacramento, California, USA Photographer: Larry G. Bezark Collection Location: pk32 Route de Kaw, French Guiana 76483
|

Photographer: Denis Faure Collection Location: French Guiana 29276
|

Photographer: Jean-Louis Giuglaris Collection Location: Kaw, French Guiana 29277
|
|