New Search Family, Subfamily and Tribe List

SubFamily Cerambycinae

Tribe Torneutini
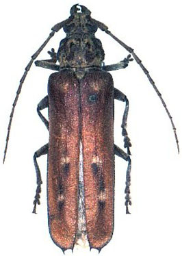
Praxithea peruviana Lane 1966

Specimen Type: holotype
Sex: f
Institution: CAS California Academy of Sciences, San Francisco, CA, USA
Photographer: Larry G. Bezark
Collection Location: Divisoria, Huanuco, Peru
12482

130425