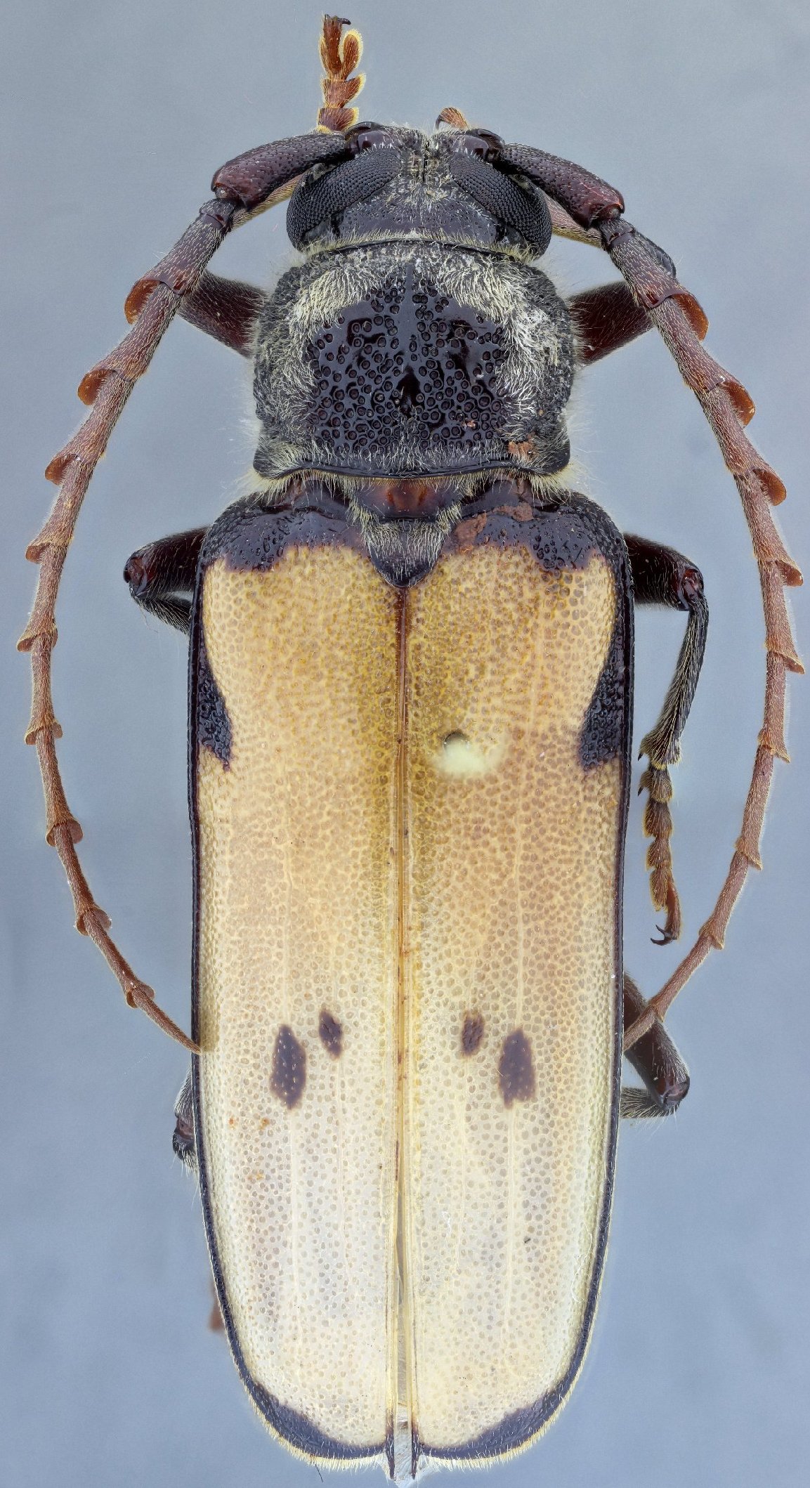
_Zajciw_MNRJ_SWL_=_Gigantotrichoderes.jpg)
Mielkea flabellicornis Zajciw Specimen Type: holotype Sex: m Institution: MNRJ Museu Nacional Universidade do Rio Janeiro, Brazil Photographer: Steve Lingafelter Collection Location: Município Vizeu, km 86 da estrada Pará-Maranhão, Para, Brazil 20523
|
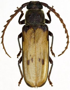
_Fr_Guiana_Faure.jpg)
Photographer: Denis Faure Collection Location: French Guiana 28771
|