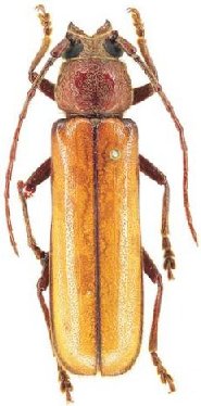
_Fuchs_Monne.jpg)
Specimen Type: holotype, paratype Sex: mf Institution: HS Herbert Schmid Collection, Vienna, Austria Photographer: Herbert Schmid Collection Location: San Bernardino, Cordillera, Paraguay 24238
|
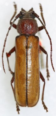
_Lane_CMNH.jpg)
Diploschema klagesi Lane Specimen Type: holotype Sex: f Institution: CMNH Carnegie Museum of Natural History, Pittsburgh, PA, USA Photographer: Steve Lingafelter Collection Location: São Paulo de Olivença, Amazonas, Brazil 23953
|
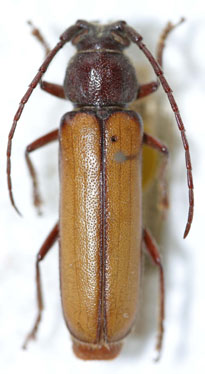
_Lane_Monne.jpg)
Diploschema klagesi Lane Specimen Type: holotype Sex: f Institution: CMNH Carnegie Museum of Natural History, Pittsburgh, PA, USA Collection Location: São Paulo de Olivença, Amazonas, Brazil 24236
|
_Lane_Bolivia_Wappes_Photo.jpg)
Diploschema klagesi Lane Specimen Type: holotype Photographer: Jim Wappes Collection Location: Bolivia 6636
|
_(m)_Lane_BMNH_Tav_Paraguay.jpg)
Diploschema klagesi Lane Specimen Type: paratype Sex: m Institution: BMNH British Museum Natural History, London, UK Photographer: Gerard Tavakilian Collection Location: Paraguay 16082
|
_Lane_MZSP_SWL.jpg)
Diploschema klagesi Lane Specimen Type: paratype Institution: MZSP Museu de Zoologia da Universidade de São Paulo, Brazil Photographer: Steve Lingafelter 6637
|

Institution: WHTC William H. Tyson Collection, Coarsegold, California, USA Photographer: Larry G. Bezark Collection Location: Santa Barbara, Nor Yungas, La Paz, Bolivia 6644
|

Institution: WHTC William H. Tyson Collection, Coarsegold, California, USA Photographer: Larry G. Bezark Collection Location: Santa Barbara, Nor Yungas, La Paz, Bolivia 79521
|

Photographer: Denis Faure Collection Location: French Guiana 21830
|

6638
|

Photographer: Jim Wappes Collection Location: Bolivia 6639
|

Institution: FTH Frank T. Hovore collection (now at California Academy of Sciences) Photographer: Larry G. Bezark 6641
|
.jpg)
Institution: FTH Frank T. Hovore collection (now at California Academy of Sciences) Photographer: Larry G. Bezark Collection Location: km1 Napo-Galeras road, Napo Province, Ecuador 28131
|
2.jpg)
Institution: FTH Frank T. Hovore collection (now at California Academy of Sciences) Photographer: Larry G. Bezark Collection Location: km1 Napo-Galeras road, Napo Province, Ecuador 28132
|
_Kaw_Fr_Guiana_Giuglaris.jpg)
Photographer: Jean-Louis Giuglaris Collection Location: Kaw, French Guiana 28706
|
 Fuchs MZSP Brazil (Mato Grosso do Sul, Rio Verde de Mato Grosso) SS.jpg)
Sex: m Institution: MZSP Museu de Zoologia da Universidade de São Paulo, Brazil Photographer: Antonio Santos-Silva Collection Location: Rio Verde de Mato Grosso, Mato Grosso do Sul, Brazil 27292
|