_Bates_MNHN_FTH.jpg)
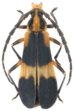
Pteroplatus simulans Bates Specimen Type: lectotype Sex: m Institution: MNHN Museum of Natural History Paris, France Collection Location: Tefé (originally Ega), Amazonas, Brazil 18387
|
 Gounelle MNHN Jatai, Goias, Brazil now Cosmoplat sim Moure.jpg)
Cosmoplatus mandibularis Gounelle Specimen Type: syntype Sex: mf Institution: MNHN Museum of Natural History Paris, France Photographer: JS Moure Collection Location: Jatai, Goias, Brazil 15873
|