_Buquet_MNHN_Colombia_TAV.jpg)
Specimen Type: holotype Sex: m Institution: MNHN Museum of Natural History Paris, France Photographer: Gerard Tavakilian Collection Location: Colombia 18375
|
_Buquet_MNHN_Colombia_TAV.jpg)
Specimen Type: holotype Sex: m Institution: MNHN Museum of Natural History Paris, France Photographer: Gerard Tavakilian Collection Location: Colombia 69612
|
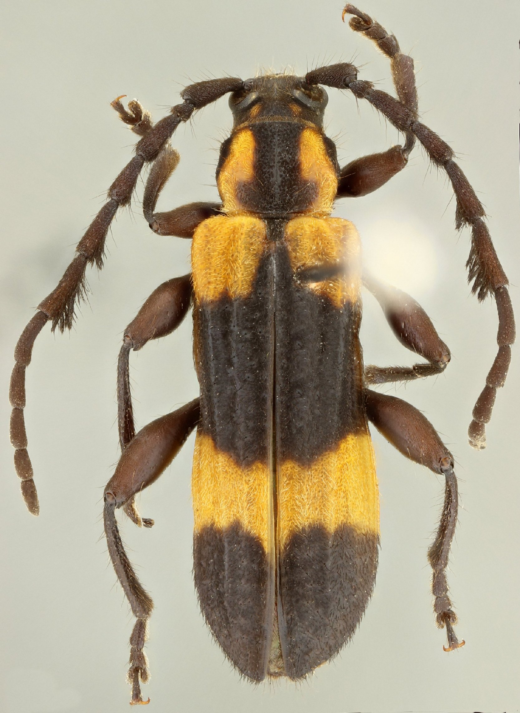
_Buquet_MNHN_Bogota_Dept_Especial_TAV_now_gracilis.jpg)
Pteroplatus rostainei Buquet Specimen Type: holotype Sex: f Institution: MNHN Museum of Natural History Paris, France Photographer: Gerard Tavakilian Collection Location: Bogotá, Departamento Especial, Colombia 18383
|
_Buquet_MNHN_Bogota_Dept_Especial_TAV_now_gracilis.jpg)
Pteroplatus rostainei Buquet Specimen Type: holotype Sex: f Institution: MNHN Museum of Natural History Paris, France Photographer: Gerard Tavakilian Collection Location: Bogotá, Departamento Especial, Colombia 18384
|
_M_G_Ubaque_Vereda_San_Antonio_Cund_Col_now_gracilis.jpg)
Pteroplatus caudatus Martins & Galileo Specimen Type: holotype Sex: m Institution: UNAB Universidad Nacional, Facultad de Agronomía, Bogota, Colombia Collection Location: Vereda San Antonio, Ubaque, Cundinamarca, Colombia 39731
|
_Buquet_MZSP_Quindio_Colombia_SS.jpg)
Sex: f Institution: MZSP Museu de Zoologia da Universidade de São Paulo, Brazil Photographer: Antonio Santos-Silva Collection Location: Quindio, Colombia 69778
|
_Buquet_MZSP_Colombia_SS.jpg)
Sex: f Institution: MZSP Museu de Zoologia da Universidade de São Paulo, Brazil Photographer: Antonio Santos-Silva Collection Location: Colombia 69779
|
_Buquet_Quindio_Colombia_SS.jpg)
Sex: f Institution: MZSP Museu de Zoologia da Universidade de São Paulo, Brazil Photographer: Antonio Santos-Silva Collection Location: Colombia 69780
|
_Buquet_MZSP_Colombia_SS.jpg)
Sex: m Institution: MZSP Museu de Zoologia da Universidade de São Paulo, Brazil Photographer: Antonio Santos-Silva Collection Location: Colombia 69781
|
_Buquet_MZSP_Colombia_SS.jpg)
Sex: m Institution: MZSP Museu de Zoologia da Universidade de São Paulo, Brazil Photographer: Antonio Santos-Silva Collection Location: Colombia 69782
|
_Buquet_MZSP_Colombia_SS.jpg)
Sex: m Institution: MZSP Museu de Zoologia da Universidade de São Paulo, Brazil Photographer: Antonio Santos-Silva Collection Location: Colombia 69783
|
_Buquet_MZSP_Colombia_SS.jpg)
Sex: m Institution: MZSP Museu de Zoologia da Universidade de São Paulo, Brazil Photographer: Antonio Santos-Silva Collection Location: Colombia 69784
|