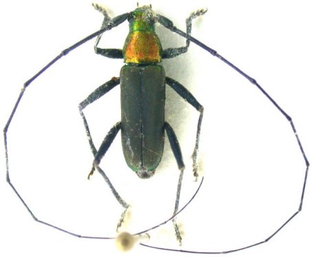
_Fr_Guinea_Faure.jpg)
Photographer: Denis Faure Collection Location: French Guiana 29387
|

Photographer: Jean-Louis Giuglaris Collection Location: Belizon, French Guiana 29394
|
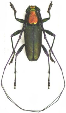
_Det_Tavakilian_UCB.jpg)
Institution: UCB Essig Museum of Entomology, Berkeley, California, USA Photographer: Larry G. Bezark Determiner: Tavakilian 14143
|
|